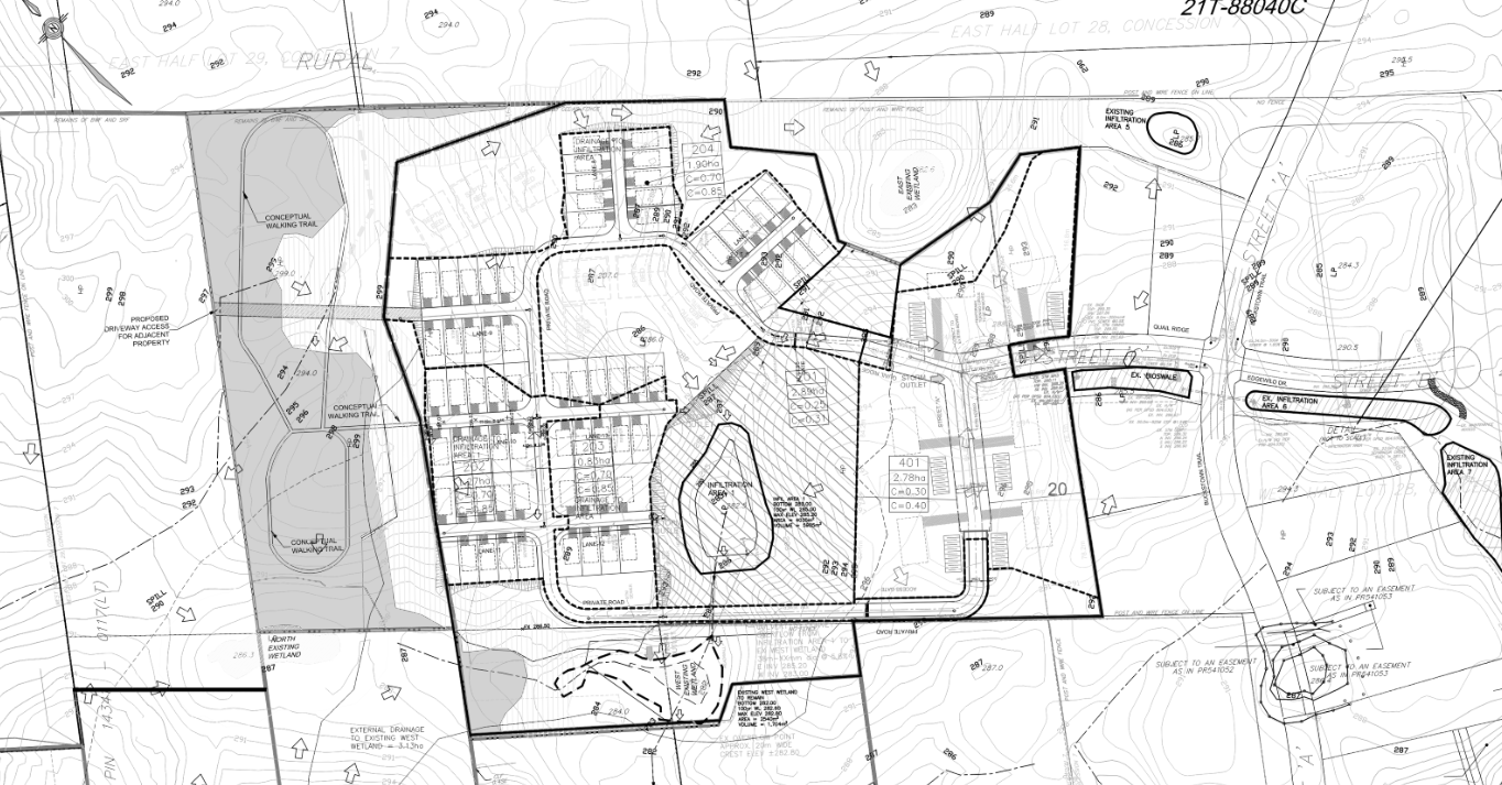
Sunshine Estates Palgrave, ON Under Development Adult Lifestyle Community68 single family homes + 6 estate lots Residences of Springhill Read More 200 Clinton Read More King City Read More